Optimizer4D
With the new high-frequency-impulse-measurement, the Optimizer4D detects changes in the material's structure while cutting, welding or induction hardening - As if yout tool had an implemented data interface. In real-time. Non-destructive.
The measuring computer
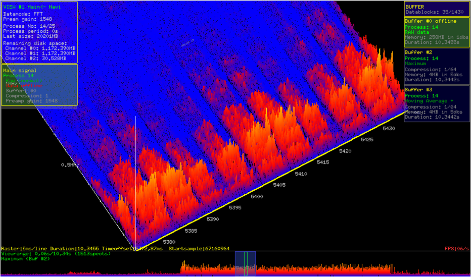
The Optimizer4D is a Linux PC-System based measuring computer, that has been equipped with special measuring hardware. This hardware is designed to process high-frequency ultrasonic signals (3GB/min). The signals are converted in well readable process images in real-time. Analyzing tools remove noise, highlight signals and determine deviations relative to previous processes. <!-- Simple Image Gallery Extended - Plugin J1.5-14 - http://joomla-extensions.kubik-rubik.de/sige-simple-image-gallery-extended -->


Here you can see four process landscapes recorded by the Optimizer4D. The process characteristics are well distinguishable. In image 3 you can see a set of four bars, continuously repeating itself. The first and the last bar are comparatively less distinct. Every bar represents a blade of a multiple-blade-cutter. The deviations in intensity and cutting duration are caused by a concentricity deviation of 8µs.
The operator can zoom into the process landscape and by that detect even shortest events like cracks. In this he is supported by efficient software. | 
|